Service Guide

Get Ants Extermination Service

Local contractors specializing in ant extermination address infestations, eliminate nests, and protect properties from ongoing ant problems.

Ants extermination services are a practical consideration for property owners dealing with unwanted pest activity. Whether ants are invading kitchens, gardens, or other areas, addressing the issue promptly can help prevent further damage and maintain a comfortable living or working environment. Local contractors specializing in pest control can provide tailored solutions to effectively manage ant infestations and restore peace of mind.

Exploring options for ant extermination involves comparing the expertise and approaches offered by nearby service providers. Property owners often seek reliable, experienced professionals who understand the unique challenges of their local area. Continuing to read can help identify qualified contractors equipped to handle ant problems efficiently and effectively.

Get Ants Extermination Service Quotes

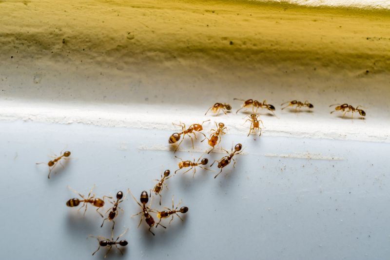
  • Ants Extermination - needed when ants invade a home or business, causing a nuisance or potential damage.
  • Ants Prevention - required to establish barriers that keep ants from returning after treatment.
  • Ants Inspection - necessary when identifying ant entry points and the extent of an infestation.
  • Ants Treatment - essential for eliminating existing ant colonies and preventing future invasions.
  • Ants Control - sought when ongoing management is needed to maintain ant-free indoor and outdoor spaces.
Ants Extermination Service
Ants Extermination Service
Ants Extermination Service

Ants extermination services involve professional treatments designed to eliminate ant colonies and prevent future invasions. These services typically start with a thorough inspection of the property to identify the ant species, nesting sites, and entry points. Once the problem areas are determined, trained contractors apply targeted solutions, which may include baiting, dusting, or liquid treatments. The goal is to reduce or remove ant populations efficiently, helping homeowners regain control over their living spaces.

Ant infestations can cause a range of issues for homeowners. Common problems include visible ant trails, nests in walls or yards, and ongoing activity that disrupts daily life. Certain ant species, such as fire ants or carpenter ants, can also cause structural damage or pose health risks through bites or stings. Professional extermination services help address these concerns by eradicating the pests at their source, reducing the risk of recurring problems and making the environment safer and more comfortable.

These services are suitable for a variety of property types, including single-family homes, apartments, and condominiums. Residential properties are the most common clients, especially when ants are seen inside kitchens, bathrooms, or around the foundation. Commercial properties, such as restaurants or food storage facilities, may also seek ant extermination to maintain hygiene standards and prevent pest-related issues. Regardless of property size or type, local contractors can tailor their approach to effectively handle ant problems in different environments.

Homeowners typically seek ant extermination services when they notice persistent ant activity or suspect an infestation. Signs include visible ants in living spaces, ant trails along walls or windows, or the presence of nests outdoors near the foundation. Timely intervention can prevent larger infestations and potential damage, making professional pest control a practical solution for maintaining a pest-free home. Contacting experienced local service providers can help identify the extent of the problem and implement effective treatment plans.

The overview below groups typical Ants Extermination Service projects into broad ranges so you can see how smaller, mid-sized, and larger jobs often compare in your area.

In many markets, a large share of routine jobs stays in the lower and middle ranges, while only a smaller percentage of projects moves into the highest bands when the work is more complex or site conditions are harder than average.

Initial Inspection and Treatment - Typical costs range from $150 to $300 for a thorough inspection and basic treatment. Most routine jobs fall within this range, though larger infestations may require additional services that increase the cost.

Spot Treatments for Small Infestations - Many local contractors offer spot treatments for minor ant problems, usually costing between $100 and $250. These services are common for homeowners dealing with localized ant activity.

Full Property Extermination - Complete ant extermination for larger properties can range from $500 to $1,500, depending on the size and complexity of the job. Many projects in this tier are more extensive, but smaller homes typically fall into the lower end of this range.

Ongoing Prevention and Maintenance - Ongoing service plans or preventative treatments generally cost between $200 and $600 annually. These are often selected by homeowners seeking to keep ant problems from recurring over time.

Actual totals will depend on details like access to the work area, the scope of the project, and the materials selected, so use these as general starting points rather than exact figures.

Get a Quote

Pest Control Treatments - Professionals experienced in pest control use similar techniques and tools to eliminate ants, targeting infestations effectively.

Rodent Extermination - This project involves planning and implementing strategies to remove rodents, requiring knowledge of pest behavior and control methods comparable to ant extermination.

Termite Inspection and Treatment - Detecting and treating termite issues involves detailed inspection skills and treatment planning similar to those used in ant eradication efforts.

Spider and Insect Control - Applying general insect control methods, including barrier treatments and habitat elimination, aligns with the skills needed for ant extermination projects.

Wildlife Removal - Removing nuisance wildlife involves planning and specialized tools, paralleling the processes used in managing ant infestations.

Bed Bug Extermination - This service requires precise treatment techniques and planning, akin to those used in ant control to ensure effective results.

Ants Extermination Service

When choosing a professional for ants extermination services, it’s important to consider their experience with similar projects. Homeowners should look for local contractors who have a proven track record in handling ant infestations comparable to their own situation. An experienced service provider will be familiar with common ant behaviors, effective treatment methods, and potential challenges, which can contribute to a more efficient and successful outcome.

Clear written expectations are a key aspect of a trustworthy service provider. Homeowners should seek out local pros who provide detailed descriptions of their services, including what the treatment process entails and what results to expect. Having this information in writing helps ensure that both parties are on the same page and can prevent misunderstandings. Reputable local contractors typically communicate their scope of work clearly and are willing to answer questions about the process upfront.

Good communication and reputable references are vital when comparing local ants extermination specialists. Service providers with a history of positive references or reviews can offer insight into their reliability and quality of work. Homeowners are encouraged to ask for references or look for feedback from previous clients to gauge how effectively the contractor communicates, addresses concerns, and follows through on commitments. Remember, this site introduces homeowners to local options for ants extermination but does not perform the work itself, making it important to evaluate each contractor’s credentials and reputation directly.

Get an Ants Extermination Service Quote

Property owners use Ants Extermination Service services for practical projects around their homes and businesses. This guide focuses on everyday jobs and straightforward project options.

Ants Extermination Service
Ants Extermination Service

Ants Extermination Services are often needed when property owners notice signs of ant activity around their homes or businesses. Common situations include encountering trails of ants in kitchens, bathrooms, or outdoor spaces, which can indicate a growing infestation. Local contractors are available to assess the situation and provide effective solutions to eliminate ants and prevent future problems, helping maintain a clean and pest-free environment.

Many property owners seek ant extermination services after experiencing recurring invasions that disrupt daily life or compromise hygiene. Whether ants are entering through cracks, around foundations, or near food storage areas, experienced service providers can identify entry points and implement targeted treatments. Connecting with local pest control professionals ensures that the issue is addressed efficiently and thoroughly, restoring comfort and peace of mind.

Get an Ants Extermination Service Quote

What are common signs of an ant infestation? Signs include visible ant trails, small piles of dirt or debris near entry points, and the presence of ants inside the home or on surfaces.

How do local contractors typically handle ant extermination? They often use targeted baits, insecticidal treatments, and exclusion methods to eliminate ants and prevent future invasions.

Are there different types of ants that require specific treatment approaches? Yes, different ant species may need tailored treatment strategies to effectively control and eradicate them.

Can ant extermination services prevent future ant problems? Many service providers offer exclusion and barrier treatments to help reduce the likelihood of future ant invasions.

What should be done before a professional ant extermination service? It's recommended to keep the area clean, remove food sources, and clear clutter to facilitate effective treatment.

Identify ant infestation sources - Property owners can use this service to locate the main entry points and nesting areas to prevent future ant problems.

Protect food storage areas - Local contractors can help establish ant barriers around kitchens and pantries to keep food safe and pest-free.

Treat outdoor spaces - Homeowners can have professionals apply treatments to lawns, gardens, and patios to reduce ant activity outdoors.

Schedule regular inspections - Property owners can arrange ongoing evaluations to maintain ant-free environments and catch issues early.

Ants Extermination Service

If you are thinking about Ants Extermination Service for a property, this guide is meant to help you understand the work, the typical project types, and how different options might fit your plans.

When you are ready, you can use the quote form on this page to share a few details about your project. From there, local pros can review the basics and respond with options that match what you have in mind.

Get a Quote

Ants Extermination Quotes

Our Trusted Partners
Get Green Lawn Kings
Hawx Pest Control
Bulwark Exterminating